Bloomberg — La trayectoria incierta del huracán Lee ha abierto la posibilidad de que se produzcan apagones generalizados en el este de Massachusetts y Maine a partir del viernes, y vientos y lluvias más destructivos en Nueva Escocia y Nuevo Brunswick durante el fin de semana.
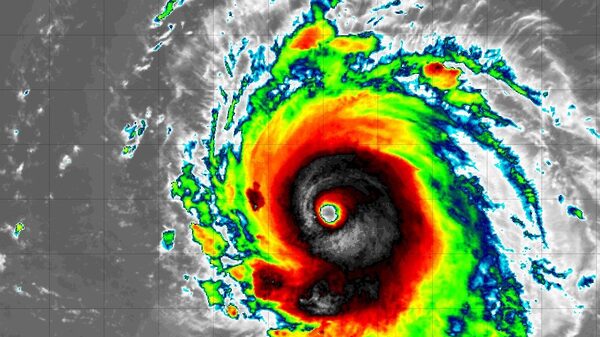
Lee, con vientos de 115 millas por hora, es un huracán mayor de categoría 3 en la escala Saffir-Simpson, a unas 475 millas al sur-suroeste de las Bermudas, según un aviso del Centro Nacional de Huracanes de EE.UU. a primera hora del miércoles.
Se prevé que se desplace hacia el norte arrastrando su parte occidental a lo largo de Nueva Inglaterra antes de tocar tierra en algún punto entre Eastport, Maine, en la frontera canadiense, y Yarmouth, Nueva Escocia, en la bahía de Fundy, a primera hora del domingo, dijo Rob Carolan, meteorólogo-propietario de Hometown Forecast Services, proveedor de perspectivas para Bloomberg Radio.
En los últimos días, la trayectoria y el potencial de efectos han oscilado de un lado a otro, a veces incluyendo Boston y el este de Massachusetts y otras veces dejándolos a salvo.
“Creo que seguirá yendo y viniendo”, dijo Carolan. Es probable que se produzcan cortes de electricidad generalizados, sobre todo en el sureste de Massachusetts y el este de Maine.
Antes de la llegada de Lee, caerán lluvias torrenciales en algunas zonas de Massachusetts, Rhode Island, New Hampshire y Connecticut, donde hay alerta de inundaciones hasta el jueves. Los vientos aumentarán en Boston y el sur de Nueva Inglaterra a última hora del viernes y después en Maine y las provincias canadienses de Nuevo Brunswick y Nueva Escocia.
Además de Lee, el huracán Margot sigue agitándose en el Atlántico central y hay un 80% de probabilidades de que se forme una nueva tormenta en la cuenca a finales de semana.
En otras noticias meteorológicas
Libia: El número de muertos por las furiosas inundaciones en la ciudad portuaria libia de Derna aumentó al menos a 5.000, mientras los equipos de rescate luchaban por encontrar a otros miles de desaparecidos tras la devastadora tormenta que asoló la costa nororiental del país.
Europa: Se prevé que la ola de calor otoñal del continente se prolongue hasta la próxima semana, acompañada de violentas tormentas eléctricas desde el norte de Alemania hasta Italia.
Australia: Sydney se situó el miércoles entre las cinco ciudades más contaminadas del mundo por la calidad del aire, ya que las quemas planificadas para reducir el peligro cubrieron partes de la ciudad de espeso humo. Las quemas, que hicieron que la calidad del aire de la ciudad fuera peor que la de Nueva Delhi y Pekín, según la clasificación de la calidad del aire de IQAir, comenzaron el fin de semana en parques nacionales del Gran Sídney con el objetivo de reducir el combustible de los incendios forestales, como hojas y ramas secas.
Lea más en Bloomberg.com















